Skip To Content

11 E Laurel Dr

Salinas, CA 93906
  • $2,200,000
  • STATUS: Active
  • ON SITE: 73 Days
  • ID#: ML82032915
UPDATED: 23 min ago
$2,200,000
  • 0
    BEDS
  • N/A
    ACRES
  • 0
    BATHS
  • 0
    1/2 BATHS
Neighborhood:
Type:
Vacant Land / Lots
County:

School Ratings & Info

Listed by Nicholas Tortorelli of NT Real Estate: 831-272-3103.

Description

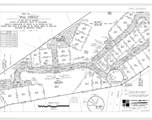
Rare near-entitled infill development opportunity. The subject property consists of approximately 7.63 acres across two legal parcels, planned for a 37-lot single-family residential subdivision. The approved development program includes 37 detached homes, all 3-bedroom, 2-bath, with floor plans. ranging from, 1,150 to 1,350 square feet, w/ garages. The project is substantially through the entitlement process. An MND was completed, a full EIR was not required, and public hearings have been conducted. The final map has been approved and is ready to record, subject to posting of performance bonds. Plans are in final updates to current code standards. Proposed improvements include full horizontal development: grading, private roads, curb and gutter, sidewalks, underground utilities, storm drainage, and engineered retaining walls. The site benefits from strong frontage, good access, and an established surrounding residential neighborhood. Seller financing available, call for details.

Monthly Payment Calculator



© 2026 MLSListings Inc. Based on information from MLSListings MLS as of 2026-04-12T02:19:28.91. Data is updated hourly. All data, including all measurements and calculations of area, is obtained from various sources and has not been, and will not be, verified by broker or MLS. All information should be independently reviewed and verified for accuracy. Properties may or may not be listed by the office/agent presenting the information. DX information is provided exclusively for consumers' personal, non-commercial use and may not be used for any purpose other than to identify prospective properties consumers may be interested in purchasing. Information is deemed reliable but is not guaranteed accurate by the MLS or Ben Dodge | KW Bay Area Estates.

Licensed in the State of California.
Website powered by BoomTown.
www.everydayheroesrealestate.com/homes/172541428
Print Image

11 E Laurel Dr Salinas, CA 93906

  • Price: $2,200,000
  • Status: Active
  • On Site: 73 Days
  • Updated: 23 min ago
  • ID#: ML82032915
0
Beds
0
Baths
0
½ Baths
N/A
Acres
Neighborhood:
Laurel Heights
County:
Monterey
Area:
Laurel Heights
Property Description
Rare near-entitled infill development opportunity. The subject property consists of approximately 7.63 acres across two legal parcels, planned for a 37-lot single-family residential subdivision. The approved development program includes 37 detached homes, all 3-bedroom, 2-bath, with floor plans. ranging from, 1,150 to 1,350 square feet, w/ garages. The project is substantially through the entitlement process. An MND was completed, a full EIR was not required, and public hearings have been conducted. The final map has been approved and is ready to record, subject to posting of performance bonds. Plans are in final updates to current code standards. Proposed improvements include full horizontal development: grading, private roads, curb and gutter, sidewalks, underground utilities, storm drainage, and engineered retaining walls. The site benefits from strong frontage, good access, and an established surrounding residential neighborhood. Seller financing available, call for details.
Exterior Features

Fencing Fenced Lot Description Regular

Property Features

Additional Listing Info Court Confirmation May Be Required City Name SALINAS Development Status Final Map Pending Hoa YN No Horse Property YN No Lot Size Area Maximum 327136.00 Lot Size Area Min 327136.00 Present Use Vacant Property Sub Type Residential Development Land Sewer Septic Sewer Available Utilities None / No Utilities Water None Zoning R-L-5.5

Listed by Nicholas Tortorelli of NT Real Estate: 831-272-3103.



© 2026 MLSListings Inc. Based on information from MLSListings MLS as of 2026-04-12T02:19:28.91. Data is updated hourly. All data, including all measurements and calculations of area, is obtained from various sources and has not been, and will not be, verified by broker or MLS. All information should be independently reviewed and verified for accuracy. Properties may or may not be listed by the office/agent presenting the information. DX information is provided exclusively for consumers' personal, non-commercial use and may not be used for any purpose other than to identify prospective properties consumers may be interested in purchasing. Information is deemed reliable but is not guaranteed accurate by the MLS or Ben Dodge | KW Bay Area Estates.

Licensed in the State of California.
Website powered by BoomTown.
 
https://bt-photos.global.ssl.fastly.net/siliconv/orig_boomver_2_82032915-2.jpg https://bt-photos.global.ssl.fastly.net/siliconv/orig_boomver_2_82032915-2.jpg https://bt-photos.global.ssl.fastly.net/siliconv/orig_boomver_2_82032915-2.jpg
Logo
Ben Dodge | KW Bay Area Estates
16780 Lark Ave.
Los Gatos CA, 95032

Listed by Nicholas Tortorelli of NT Real Estate: 831-272-3103.